ESXi Firmware Upgrade
ESXi is the software that runs on the bare-metal hypervisor known as VMware ESXi. It is the operating system for managing and running virtual machines on VMware’s virtualization platform.
Preparing the upgrade patch
First, download the Upgrade File, here we choose the Offline Zip Bundle
On the installation guide, we need to take note of the Image Profile Name, as it will be used during installation
Then upload the patch to the datastore of the host
Installing the patch
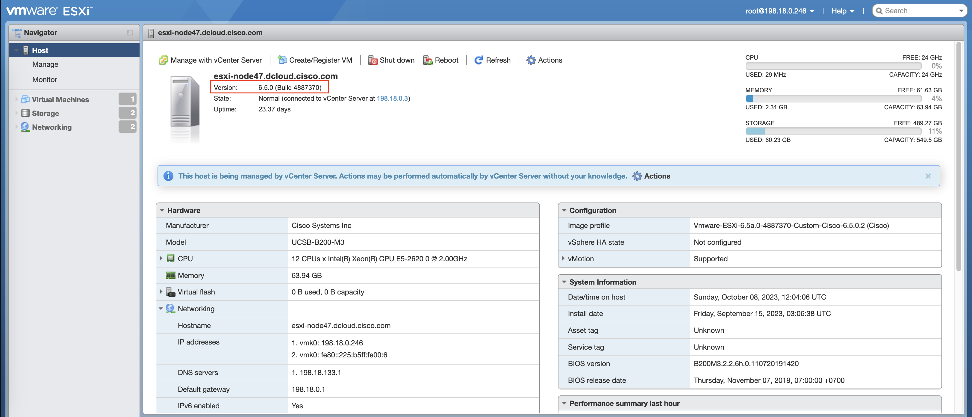
Currently we have an UCS Host with ESXi version 6.5
Access the Host using CLI, locate where the patch is located within the datastore
Run this command to check the version
1
vmware -v
Then this command to switch the Host to Maintenance Mode
1
esxcli system maintenanceMode set -e true
And this command to run the upgrade
1
esxcli software profile update -p ESXi-7.0U3d-19482537-standard -d /vmfs/volumes/6503ca5d-d9ecc6da-2016-0025b5000006/VMware-ESXi-7.0U3d-19482537-depot.zip --no-sig-check
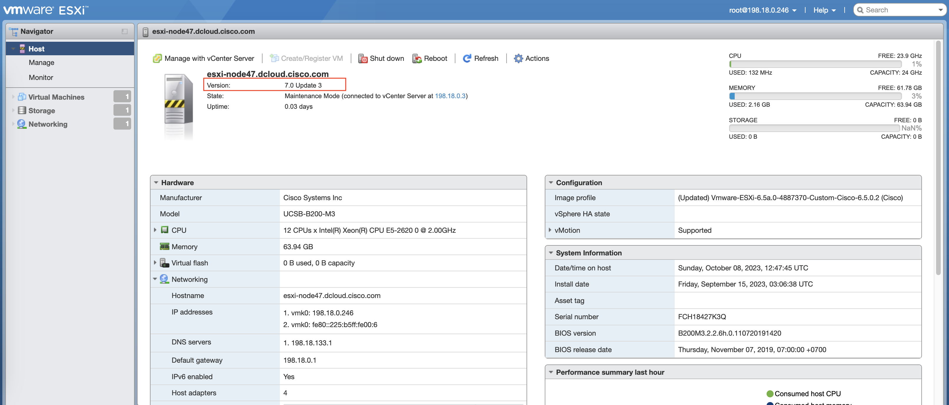
The upgrade should take less than a minute, and after succed reboot the Host
After the reboot, run the command to check the version
And on ESXi Web UI, we can see the version is now 7.0 Update 3








